Advertising
Se amenajează intersecția de la Acățari!
4 oct. 2018, 10:22

B5CB6C1F-50B5-4FC9-9830-E4E685C80C6E
Articol scris de Scris de Diana Panca
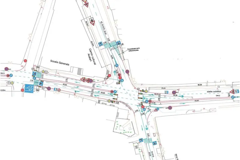
Se apropie de final lucrările de remenajare a intersecției DN13 cu DJ151D în localitatea Acățari, județul Mureș.
Citește și:
- 15:50 - Complot dejucat în Serbia: doi bărbați, suspectați că plănuiau asasinarea lui Vučić
- 17:26 - Prima reacție a ministrului Culturii, după ce a fost înregistrat înjurând interesul național: ”Cineva dorește să mă discrediteze”-VIDEO
- 14:49 - Fjord, filmul lui Cristian Mungiu, în drum spre marele Oscar, după triumful de la Cannes
- 14:35 - Gigi Becali a explodat după atacul lui Mihai Rotaru: „Eu sunt împărat, el nici Oltenia nu o poate cuceri”
Mai multe articole despre
Urmărește știrile Realitatea de Mures și pe Google News














